Lady Musgrave Island is the second island in the Great Barrier Reef chain of islands. The southernmost island is Lady Elliot, however it houses a tourist resort and is supposedly unwelcoming to yachties, so Lady Musgrave is where our exploration of the Great Barrier Reef was to begin.
Lady Musgrave is a coral cay; a small, low-elevation, sandy island on the surface of a coral reef. The cay, which is only a couple of kilometres in circumference, sits on the edge of a coral reef enclosing a large lagoon.
We had heard so many incredible stories about Lady Musgrave, but would it live up to the hype? We were excited to find out!
The ideal time to arrive into a lagoon is around midday, when the sun is high in the sky. Why, you ask? It’s because that gives you the ideal lighting conditions to spot the ‘bommies’ that you need to avoid hitting. Bommies are large pieces of coral or rock that are scattered throughout the lagoon, some just below the surface while others are quite deep. Cool Change has a keel that is 2 metres below the water and running into a bommie could damage the boat.
So once again we prepared for an overnight passage, with an early dinner and a few hours sleep before rising at 11.30 pm and departing Hervey Bay at 11.45 pm. There was a full moon shining so it was quite bright, with light winds and calm water. We took shifts this time, with Matt heading back to bed at 1 am until 5 am and then I slept until 8 am. I awoke to a beautiful sunny day and lovely calm waters, and we were perfectly on track for a midday arrival.
Matt steered us through the entrance and into the lagoon, while I stood up on the bow, on the lookout for bommies. They were very easy to spot; dark shapes in the incredibly clear turquoise water. I shouted directions and used hand gestures to let Matt know which way to go. Seemed crystal clear to me, but apparently Matt didn’t understand what some of my gestures meant. We probably should have worked out a system beforehand!
But we entered safely, and negotiated our way to a bommie free patch of water where we dropped anchor. We had heard that there were seven public moorings available in the lagoon, and had been reasonably hopeful that we could grab one, but as we approached and started counting masts, we could see that we were out of luck. There were heaps of boats in the lagoon! On that first day, I counted over twenty.
Now we could see what all the fuss was about. Lady Musgrave was absolutely breath taking. Just amazing!! The lagoon was a crystal clear turquoise, surrounded by a reef that you could see at low tide, but that disappeared at high tide so that all you could see was blue water for miles. The tiny island was a thick patch of green, surrounded by a ring of yellow sand.
It was truly spectacular. Like nothing either of us had ever seen before. In this case, reality definitely lived up to our expectations. And if above the water was pretty, then the underwater world was stunning. We felt we were somewhere truly special.
We stayed at Lady Musgrave for four nights, soaking it all in. Our days were pretty relaxed, and we got into a bit of a routine. Waking up early and enjoying a coffee gazing out over the lagoon, before heading for a snorkel, back to the boat for a bacon and egg brekkie, chilling on the boat during the day, before another snorkel or a walk on the island in the afternoon. It was a pretty great existence!



On several mornings we snorkelled over the reef just off the south side of the island. We would drop our towels and clothes on the beach and then keep walking to our entry point, swimming back to where we’d left our stuff.
Here’s Matt walking along the beach. The photo was accidentally over exposed but I think it’s a cool effect, sort of looks like a painting!

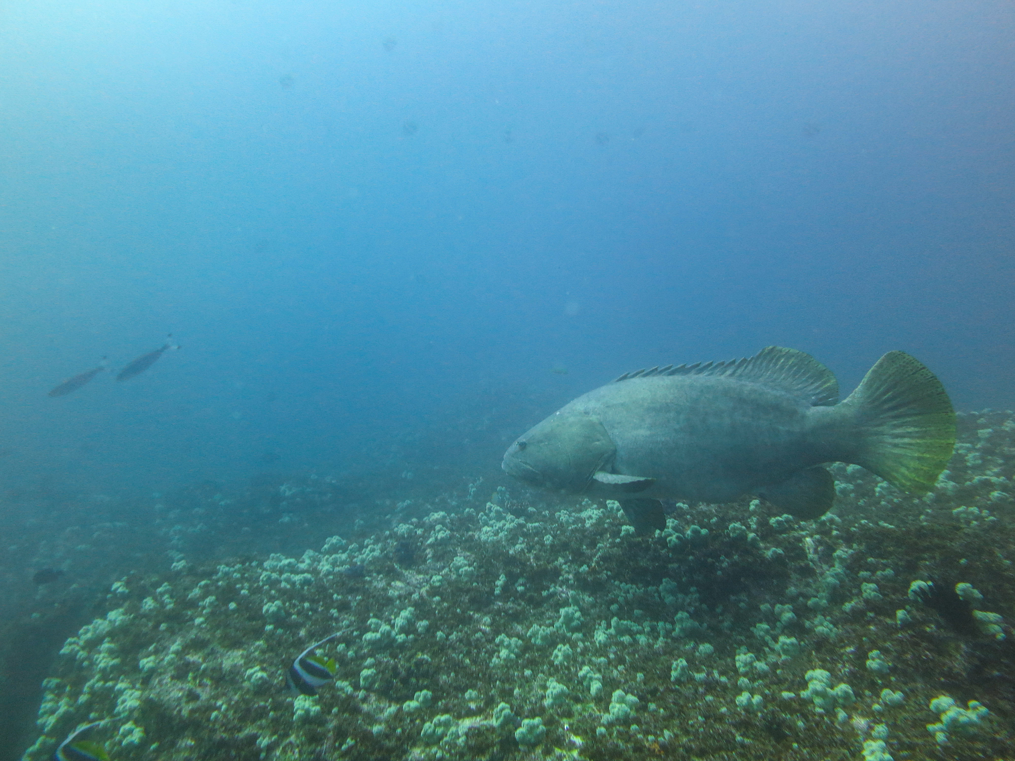
There was so much life under the water. Coral of all shapes and sizes and colours and fish galore; big, small, spotty, striped. It wasn’t too deep either, so I could just snorkel along at the surface and drink it all in.









Seeing a turtle up close was very high on my bucket list, and I thought we might have a good chance at Lady Musgrave. The island is an important nesting ground for both green and loggerhead turtles. Whilst it wasn’t nesting season (that’s mainly from November to January), we hoped to still see some turtles swimming in the waters. We certainly did see turtles, pretty much every day, but this is about the only good photo we have. These green sea turtles are very shy and as soon as they realise that you are there, bang, they’re off, and they’re fast! They are incredibly graceful and fluid in the water. We’d also often spot them from the beach or from the tender, when they would pop up their head for a breath and a quick look around. With their wrinkled neck and wise old eyes, they are truly an amazing creature and I felt very privileged to see them in their natural environment, even if only briefly.

Another ocean animal we encountered was a shark. On our first day, we were walking in the shallows at low tide when we spotted two fins jutting out of the water, coming right at us. Although I could see that they were small and probably wouldn’t harm us, especially as we were only in knee deep water, you still get a bit of a shiver. There’s that innate fear of that fin! Several days later, right at the end of our swim, I saw one in the water with me. It was a reef shark. I froze for a split second, then I quickly tried to fire off a few shots with my camera. A couple of seconds is all I had, because as soon as he registered my presence, he was out of there. Phew! You can just make out the faint outline of the shark in the photo below. I kinda hope that’s the most exciting shark encounter that I have.

The island hosts a small forest of Pisonia trees. Pisonia are a fascinating type of tree found in tropical habitats, mainly coral islands in the Caribbean and Indo-Pacific. It has been given the nickname of ‘the bird-catcher tree.’ Yep, this particular tree catches and kills birds. I know, what the?!
A bird called the ‘black noddy’ lives in this forest. They build very flimsy nests in the Pisonia trees, glued together with bird droppings. It did smell a bit! The Pisonia tree produces a seed which is coated with a thick mucus and small hooks. These seeds stick to the noddies and can trap them in the trees, where they ultimately die. One theory is that the decomposing birds are used as a fertiliser for the trees, however some researchers argue that the guano produced by the noddies would be a far richer source of nutrients, meaning the noddies would be worth more to the trees alive than dead. So they don’t really know why this occurs. Isn’t nature strange??


We saw some beautiful sunsets, both from on our boat in the lagoon and also from the island, with the sun setting out over the endless sea.



Matt caught this big guy off the boat, with a bit of leftover chicken. After much research and debate, he has decided it is a Silver Perch. Let us know if you agree. Whatever he was, he definitely wasn’t a protected species, and he was definitely big, and he was definitely delicious!

After four nights at Lady Musgrave, we moved to another lagoon called Fitzroy Reef. We left at 7 am, and in that early morning light the bommies were almost impossible to spot, so thankfully we could just follow the track on our chartplotter that we’d used to come in. Great conditions had us sailing all the way, flying along at six to seven knots.
There was some big swell in the entrance but we got in ok and manoeuvred our way to a clear patch of water to drop anchor. Fitzroy Reef has no island, it is just a coral reef forming a lagoon with a narrow entrance. At high tide the reef is completely covered. All that you can see is blue ocean stretching away into the distance. Not a speck of land, as far as the eye can see! At low tide, the reef becomes visible around the edges of the lagoon. Low tide is more comfortable as the waters of the lagoon are calm and still, but at high tide, when the swell washes over the reef, it can get a bit rocky on the boat.
Looking out at this stark, yet beautiful landscape, we reflected again on how far we have come. To be this far out in the ocean, with no land in sight, would most likely have worried or alarmed us in the early days, yet here we were feeling perfectly at ease and perfectly safe.

We went snorkelling several times during our two days here, taking the tinny over to the reef and anchoring it, and then jumping over the side. That bit was easy, it was heaving myself up and back into the tinny from the water that was the challenge! The underwater world was spectacular and filled with life. Matt speared a fish, similar to the one he’d caught at Lady Musgrave, just a bit smaller.
Fitzroy Reef was much smaller than the lagoon at Lady Musgrave and there were a lot less boats, so it was very quiet and peaceful. It’s a pretty strange feeling knowing that you can’t get off the boat and go for a walk though. We had thoroughly enjoyed our very first taste of the Great Barrier Reef and now it was time to head back towards the mainland to Keppel Bay.
We stopped at North West Island to break up the trip, gratefully jumping onto a mooring buoy for the night instead of anchoring. There were some colourful squid swimming right next to the boat and Matt tried to catch them with lures, but without success. It was also here that I saw the mythical ‘green flash’ at sunset. The green flash is a phenomenon that I’d heard about, but I didn’t know if it was fact or fiction. I’ve certainty seen a lot of sunsets and never seen this green flash that is supposed to occur right as the sun dips below the horizon. Well, I can categorically tell you that it is a thing. It’s real! I saw it with my own eyes. I was super excited! Matt just looked at me like I had two heads.
Unfortunately, it was pretty rolly off North West Island, so we had quite an uncomfortable night and I didn’t sleep much. I was very eager to move off the next day, and with the wind picking up even more, we flew along, sailing at a speed of six to eight knots. The seas also picked up as the day wore on and soon we were in choppy water filled with white caps. The choppy water and increased winds made anchoring at Great Keppel Island an unappealing prospect, so we booked a berth at Rosslyn Bay Marina. Arriving into the marina right on sunset, I felt so relieved to be tied up safely and securely. A hot shower, dinner at a restaurant and a good night’s sleep went down a treat!
How inappropriate to call this planet Earth when it is clearly Ocean.
Arthur C. Clarke














































































































































































































































