Cairns is brilliantly situated right near the extraordinary Great Barrier Reef, and many islands, reefs and cays are conveniently close and perfect for day or overnight trips. Spending time on the reef was one of our favourite things to do, and we loved to share the experience with friends and family when we could.
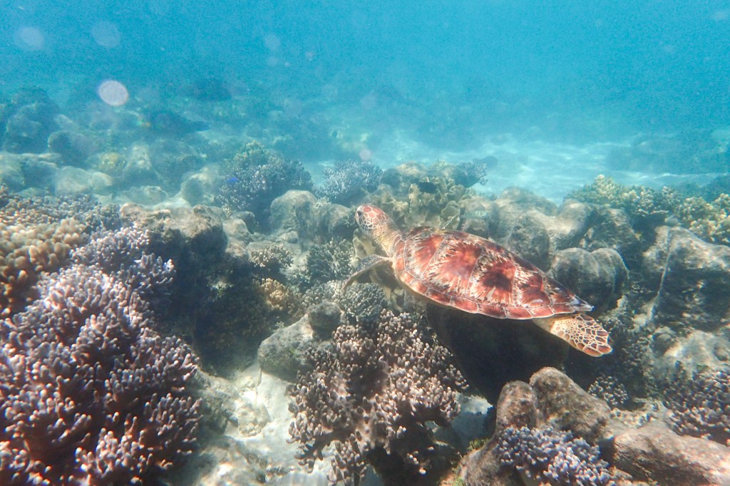
Michaelmas Cay, a small coral cay north of Cairns, and the nearby Fitzroy Island became our go-to places to take guests. Michaelmas Cay was a three to four hour trip out and boasted some of the clearest water, most amazing coral and spectacular tropical fish, as well as lots of green sea turtles. It was also a protected breeding ground for an incredible array of different birds. A similar distance in the opposite direction, Fitzroy Island was also home to lots of sea turtles as well as some beautiful coral bommies. At Fitzroy there was also the island with facilities, including the possibility of the ferry back to Cairns. When we took visitors out for overnight trips we usually went to Fitzroy Island first, just in case they were seasick and needed to either stay on land or return via the ferry.
We took Dave and Lesley, and then Jess, Fraser and Rachel for day trips to Michaelmas, my Mum came up from Melbourne and we took her to Fitzroy for a night. Vicki and Dale, who live in Cairns, came out to Fitzroy Island for a night, and when Ange came up to visit we took her on the double overnighter to Fitzroy Island and then Michaelmas, the same trip we took Lucas, Nicole and Karen on when they also came up from Victoria. Here are some of our favourite pics from the various trips. When Frase and Rach came on the boat they brought their drone and took the most amazing footage; it just wowed us and gave us a completely different perspective. So much so, that Matt went out and bought a second hand drone for himself!
Michaelmas Cay

(Drone pic courtesy of Fraser Greenwood and Rachel Baldi)

(Drone pic courtesy of Fraser Greenwood and Rachel Baldi)


(Drone pic courtesy of Fraser Greenwood and Rachel Baldi)












Fitzroy Island
As well as snorkelling in the bay, we walked around to Nudey Beach with Mum and had a swim there. Lucas did lots of fishing off the back of the boat and he caught quite a few little fish, one of which he filleted and ate for breakfast. We often troll a lure behind the boat, and while we unfortunately had no luck while Lucas was on board, Ange managed to reel in a huge queenfish. Go Ange!





As well as having the Great Barrier Reef on its doorstep, Cairns also has a huge number of attractions on land. When Lucas, Nicole and Karen were visiting, we took the opportunity to tick off a few touristy destinations. One of those was Kuranda, a little village up in the rainforest. We caught the Skyrail Cableway up and came down on the Scenic Railway. In Kuranda we took a short cruise on the Barron River where we were lucky enough to spot a semi wild cassowary. Matt and I had not managed to see one of the elusive birds on any of our road trips so were excited to finally view one of these incredibly iconic tropical birds.
Nicole, Karen, Lucas and I also drove out to Mossman Gorge and after completing the circuit walk through the rainforest, enjoyed a well earned swim in the very refreshing and cool waters of the beautiful swimming hole. A visit to Cairns wouldn’t be complete without seeing a saltwater crocodile so Lucas, Nicole and I spent a day at Hartley’s and definitely got our crocodile fix!!
Kuranda








Mossman Gorge






Hartley’s Crocodile Adventures






And so that wraps up my series on our life in Cairns. Here’s a couple of pics I just found of our home in Cairns at the Yorkeys Knob Boating Club. Now to go back to the regular programming of our sailing journey…..


A mind that is stretched by a new experience can never go back to to its old dimensions.
Oliver Wendell Holmes




























